整形・神経科
Orthopedic surgery
整形・神経科
Orthopedic surgery
前十字靭帯は、膝が正常な位置にあるために必要な靭帯です。この前十字靭帯が、年齢や外傷など様々な原因で弱くなり切れてしまうのが、前十字靭帯断裂です。
この病気は、急に痛がった後、足をつかなくなるという症状が多いです。このような症状に対して、当院ではまずしっかり触診を行います。そして、膝のレントゲン検査も行い診断をします。治療は、内科治療から外科治療まで幅広い選択肢をご提示します。外科手術は、2次診療施設への紹介をさせていただきます。
てんかんとは、脳を原因とした発作が繰り返し起こる状態を指します。当院では、発作が起こった際にその原因が脳か脳以外なのかを判断するために、神経学的検査、血液検査などを行い、しっかり見分けることができるように診療します。また、脳が原因の場合は検査機関と連携をとりCT・MRI検査のための検査依頼も行うことができます。そして、一般的な抗てんかん薬による治療のみでなく重篤な発作が起こっているときの緊急処置も行うことができます。
椎間板ヘルニアは、背骨を繋ぐ物質が飛び出て神経を圧迫する病気です。症状は、痛みのみの場合から歩けなくなる場合もあり、神経へのダメージの程度により様々です。当院では、神経学的検査とレントゲン検査を正確に行うことで、他の病気の可能性をなるべく無くします。(椎間板ヘルニアは、CT/MRI検査でないと診断できないため) そして、症状の程度により内科治療から外科治療まで適切な治療を選択します。外科手術が必要な場合は、2次診療施設への紹介をさせていただきます。
骨軟骨異形成症とは、様々な関節に関節炎の症状が起こる病気です。スコティッシュフォールドに多い病気で、遺伝子が関与しているとされています。様々な関節に関節炎が起こることで、痛みなどの症状が見られます。治療は、鎮痛薬、サプリメントなど色々行われていますが、完全に治すことが期待できる治療は未だにありません。当院では、痛み止めなど一般的な治療から、高い治療効果が認められている放射線治療を2次診療施設への紹介により行います。
てんかんとは、脳を原因とした発作が繰り返し起こる状態を指します。当院では、発作が起こった際にその原因が脳か脳以外なのかを判断するために、神経学的検査、血液検査などを行い、しっかり見分けることができるように診療します。また、脳が原因の場合は検査機関と連携をとりCT・MRI検査のための検査依頼も行うことができます。そして、一般的な抗てんかん薬による治療のみでなく重篤な発作が起こっているときの緊急処置も行うことができます。
椎間板ヘルニアは、背骨を繋ぐ物質が飛び出て神経を圧迫する病気です。症状は、痛みのみの場合から歩けなくなる場合もあり、神経へのダメージの程度により様々です。当院では、神経学的検査とレントゲン検査を正確に行うことで、他の病気の可能性をなるべく無くします。(椎間板ヘルニアは、CT/MRI検査でないと診断できないため) そして、症状の程度により内科治療から外科治療まで適切な治療を選択します。外科手術が必要な場合は、2次診療施設への紹介をさせていただきます。
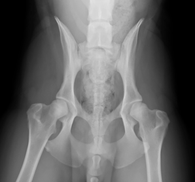
「歩き方がおかしい」という異常であっても、筋肉や骨の病気(整形疾患)か、脳や神経の病気(脳神経疾患)か、ここを見分けることがとても大事になってきます。そしてここでとても重要なのが、触診(触る検査)です。二次診療施設での研修経験も生かし、丁寧に触診を行います。また骨などの異常を疑う場合は、高性能レントゲン装置でそれを確認し分かりやすく説明します。

当院では、発作を抑えるための鼻腔内噴霧器や複数種類の抗痙攣薬を用意しています。発作が止まらない状態で来院されても、適切に発作を止めて脳へのダメージを抑えます。また、ご自宅で発作が起こった時のために鼻腔内噴霧器の処方や使い方の指導を行い、安心してご自宅で過ごしていただけるようお手伝いします。

当院は高度医療施設との連携をとっています。特に整形外科の場合は、「治る」という点では一緒でも、より早く、より確実で、より安全な整形外科手術を行いたい場合、高度医療施設での実施をお勧めしています。紹介の手続きもこちらで全て行い、場合によっては施設への送迎もさせていただいております。

受付いただきましたら、スタッフから問診させていただきます。どのような症状がいつごろからあるのかお伺いさせていただきます。もし、来院時やお待ちいただいている間、発作などでご不安がある方はスタッフまでお声かけください。優先的に処置をさせていただく場合がございます。

歩き方、立ち方を診させていただき、真っ直ぐ立てているか、かばっている足はないかなどを確認し、骨・関節の痛みや神経の異常がないかを確認します。その後他の異常の確認も含め、全身を触らせていただきます。

疑う病気によっては、さらに細かな神経学的検査や整形触診を行い状況の把握を行います。その後、必要に応じて血液検査、レントゲン検査、超音波検査、関節液検査などを提案させていただき、相談の後に実施します。

検査結果に応じて内科治療、外科治療などを提案させていただきます。必要によっては、さらにCT・MRIの精密検査が必要であったり、二次診療施設での専門的外科治療を提案させていただく場合もございます。相談の後、治療方針を決めさせていただきます。

お会計、お薬のお渡し、説明資料のお渡しは受付からさせていただきます。次回の再診目安もお伝えさせていただきます。

※表示価格は全て税込価格です。
| 整形触診・神経学的検査 | 1,650円 |
|---|---|
| レントゲン検査 | 2,200円~ |
| CT・MRI検査 | おおよその費用を口頭でお伝えします。 |
| 痛み止めの飲み薬 | 2,200円~ |
|---|---|
| 外科手術 | 状態により概算をお伝えさせていただきます。 |